CONTRA COVID 19 "COVID MATA"

CONTRA COVID 19 "COVID MATA"

sábado, 7 de setembro de 2019

NOTICIAS GERAL-INTERNACIONAL ORLANDO-

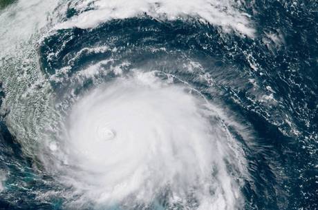
Dorian ganha força e sobe para Categoria 2

Dorian ganha força e sobe para Categoria 2 a caminho do Canadá

O furacão Dorian ganhou força na tarde deste sábado (7), segundo o Centro Nacional de Furacões dos EUA, e segue para o Canadá.
Na semana passada, o furacão chegou na categoria 5, a máxima na escala Saffir-Simpson e devastou as Bahamas. Na passagem pelos EUA, durante esta semana, Dorian perdeu força e chegou na categoria 1. Na categoria 1, furacão Dorian avança rumo a província canadense Dorian deixa 800 pessoas isoladas em ilha na Carolina do Norte Agora, os ventos subiram para os 155 km/h, o que encaixa o furacão na Categoria 2. Ele segue subindo para o Canadá, e está a 225 quilômetros a sudoeste da cidade de Halifax. O NHC aponta que neste sábado ou amanhã, o centro do furacão deveria passar por New England, nos EUA, para depois se movimentar através de Nova Escóvia e Terranova, em território canadense.( FONTE R7 NOTICIAS Giovanna Orlando, do R7, )

Nenhum comentário:

PMs perdem cargos após chacina que deixou 4 homens mortos na Chapada.

A Justiça de Goiás determinou a perda de cargo público dos policiais militares Aguimar Prado de Morais e Luís César Mascarenhas Rodrigues, c...